Продается Дом дача, Кошевого ул., Фонтанка
Одесская обл. / Фонтанка / ул. Кошевого
ID 186194
Комнат
5
Общая
180 м2
Жилая
100 м2
Этажность
2
Участок
12 соток
Газ
Природный
Вода
Водопровод
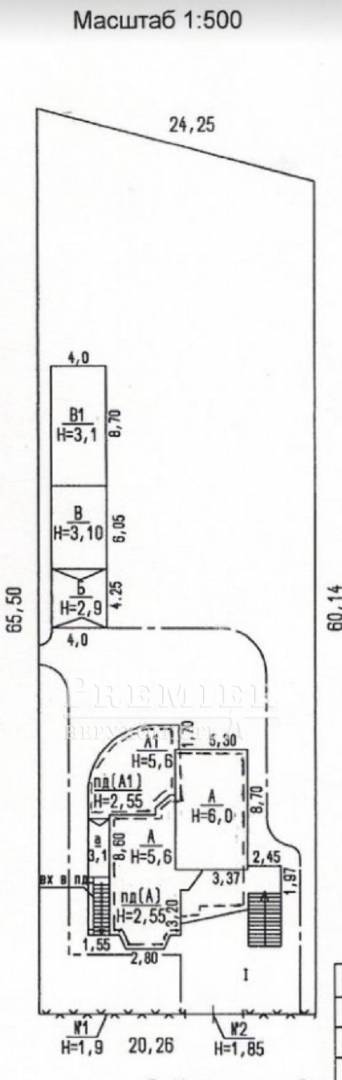
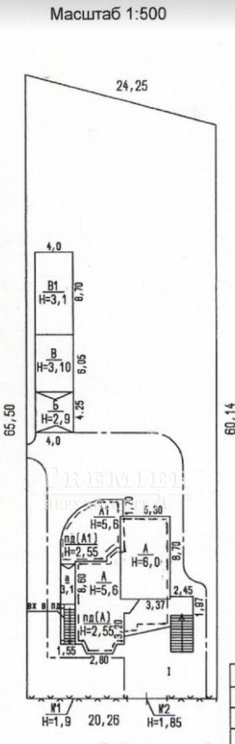
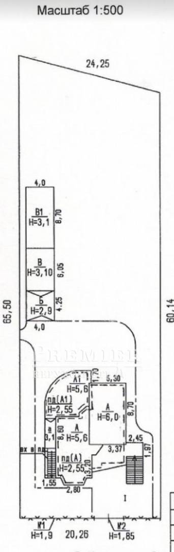
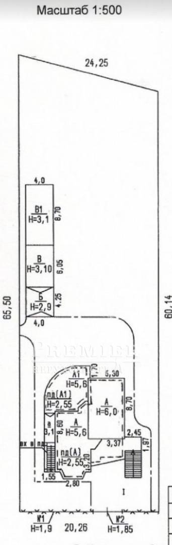
Продается дом в Одессе (Фонтанка), 2 х этажный, 3х уровневый, 180 метров общая площадь, современная планировка, 5 комнат и кухня-гостиная. Сделан капитальный ремонт, укомплектован мебелью и техникой. Хорошее подвальное помещение, 2 комнаты, 12 соток земли. Есть гараж на 2 машины. Благоустроенный двор. Гостевой дом с баней и беседкой отдельно стоящий.
200 000 USD
171 654 EUR
8 720 000 UAH
Филиалул. Сахарова 24
Ответственный специалист Инна Коваль
Показать
Дополнительные услуги
Похожие объекты
Дом дача
Одесcк. обл./Одесский район/Прилиманское/Новая ул.
Цена145 000 USD
Общая225.6 м2
Участок9соток
Цена145 000 USD
9 соток
Дом дача
Одесcк. обл./Одесский район/Лиманка (Мизикевича)/Согласия ул.
Цена250 000 USD
Общая500 м2
Участок10соток
Цена250 000 USD
10 соток
Дом дача
Одесcк. обл./Одесский район/Лиманка (Мизикевича)/
Цена240 000 USD
Общая300 м2
Цена240 000 USD
300 м2