Продається Будинок дача, Кошового вул., Фонтанка
Одеська обл. / Фонтанка / ул. Кошового в
ID 186194
Кімнат
5
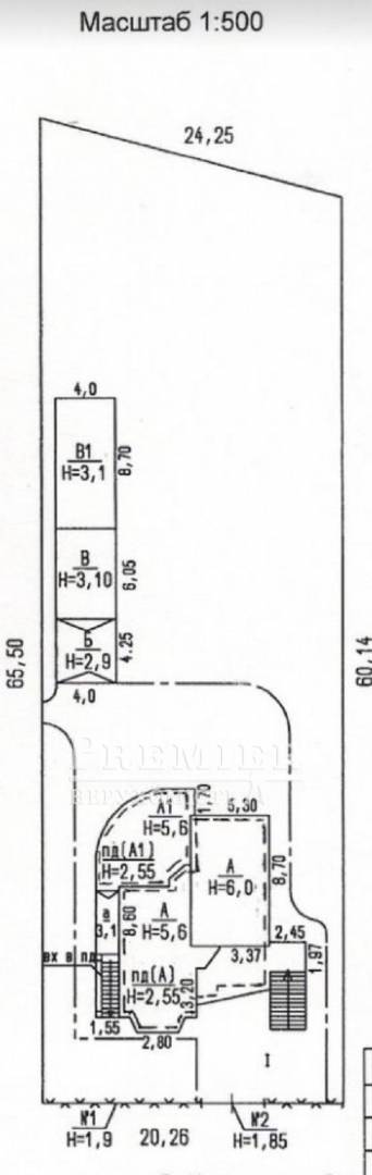
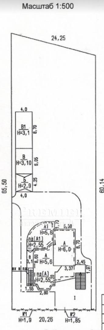
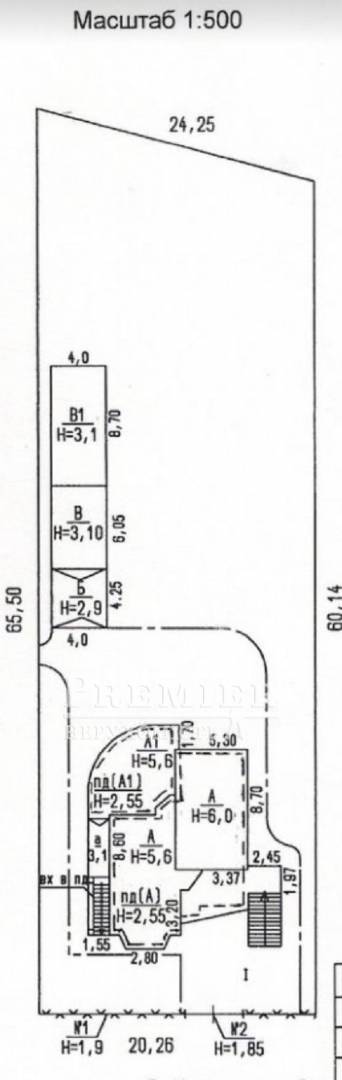
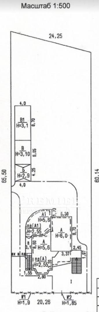
Загальна
180 м2
Житлова
100 м2
Поверховість
2
Ділянка
12 соток
Газ
Природный
Вода
Водопровод
Продається будинок в Одесі (Фонтанка), 2-х поверховий, 3-х рівневий, 180 метрів загальна площа, сучасне планування, 5 кімнат і кухня-вітальня. Зроблено капітальний ремонт, укомплектовано меблями та технікою. Хороше підвальне приміщення, 2 кімнати, 12 соток землі. Є гараж на дві машини. Упорядкований двір. Гостьовий будинок з лазнею і альтанкою, що окремо стоїть.
200 000 USD
171 787 EUR
8 890 000 UAH
Філіявул. Сахарова 24
Відповідальний спеціаліст Інна Коваль
Показати
Додаткові послуги
Схожі об`єкти
Будинок дача
Одеська. обл./Одескій район/Доброслав (Комінтернівське)/Першотравнева
Цена120 000 USD
Общая58 м2
Участок8.5соток
Цена120 000 USD
8.5 соток
Будинок дача
Одеська. обл./Одескій район/Фонтанка/Сковороди (Пушкіна) в...
Цена225 000 USD
Общая120 м2
Участок2.7сотки
Цена225 000 USD
2.7 сотки
Будинок дача
Одеська. обл./Одескій район/пгт. Таїрове/масив №21
Цена136 000 USD
Общая136 м2
Участок3сотки
Цена136 000 USD
3 сотки
Будинок дача
Чорноморськ/Приморська вул.
Цена300 000 USD
Общая145.3 м2
Участок10соток
Цена300 000 USD
10 соток