Продається Ділянка (під житлову забудову), Миколи Огренича вул., м.Одеса
Одеса, , ул. Миколи Огренича в
ID 210870
Загальна
10 м2
Ділянка
10 соток
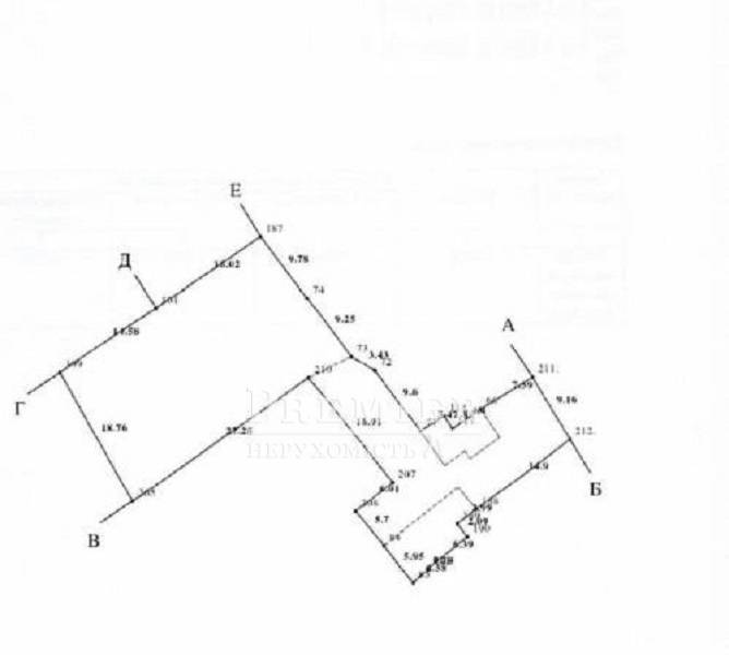
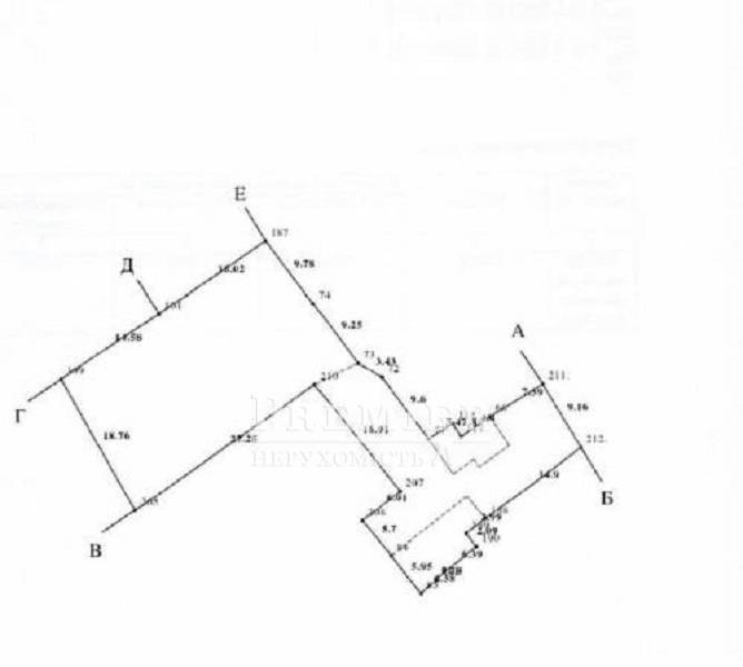
Пропонується для продажу ділянку правильної форми під житлову забудову. На вулиці Огреніча (колишня Чапаєва), комунікації все по фасаду, поряд парк 411 батарея, море в пішій доступності.
150 000 USD
127 334 EUR
6 615 000 UAH
ФіліяСемена Палія 108
(Днепропетровска дор,)
(Днепропетровска дор,)
Відповідальний спеціаліст Валентина Лазаренко
Показати
Додаткові послуги
Схожі об`єкти
Цена143 000 USD
Общая5.5 м2
Участок5.5соток
Цена143 000 USD
5.5 соток
Ділянка (під житлову забудову)
м.Одеса/Київський/Січовий пров. (Леваневського пров.)
Цена185 000 USD
Участок5соток
Цена185 000 USD
5 соток
Ділянка (сельхоз)
м.Одеса/Київський/Левітана вул.
Цена115 000 USD
Участок1.5гектаров
Цена115 000 USD
1.5 гектаров
Ділянка (під житлову забудову)
м.Одеса/Київський/Павлова провулок
Цена140 000 USD
Общая6.49 м2
Участок6.49соток
Цена140 000 USD
6.49 соток